One very blustery spring day, I got fed up with trying to plant carrots by seed in the relentless wind.
And we aren’t talking about just any wind here; I was in the Bahamas for Hurricane Sandy in 2012 and it reminded me of the winds we often get here in Central Saskatchewan in the Spring – and we were in a HURRICANE!
There is something wrong with that picture, thinking it was similar to home at a time like that…

Needless to say, I couldn’t even open the seed packet outside without the wind catching the seeds and trying to carry them away – let alone try to get them planted!
However, I am not one to give up on a project that I am determined to accomplish.
My solution? DIY Seed Tape!
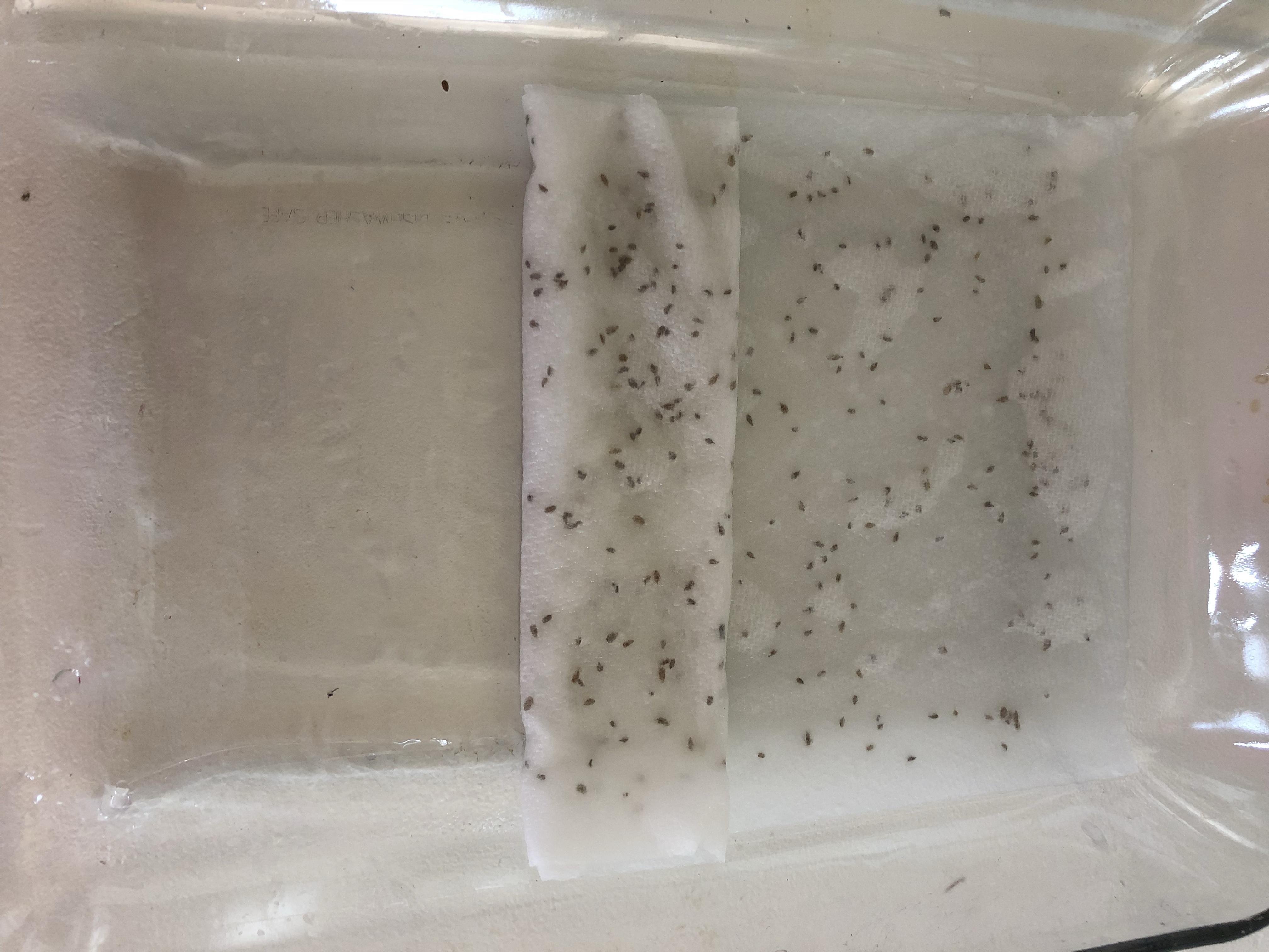
It was 100% a DIY creation all of my own. I decided to test out a theory in making my own seed tape using nothing more than the seeds themselves, regular old paper towel, and a bit of water.

In order to make the seeds stay in place, I decided to wet the paper towel just enough that it was damp.

Then I sprinkled the seeds onto the paper towel and folded the rest of the damp paper on top of the seeds to make them impervious to the wind.
This seemed like it would work quite well, so I started the process with several different varieties of lettuce, kale, and arugula as well.

I left some sheets whole, whereas other sheets of paper towel I decided to snip into thin strands to test which worked better.
Let me tell you! The carrots benefited from being planted in thin strips; the large sheets that I planted had to be thinned far more and still grew too close together (I also used organic composting for the carrots planted in thin strips, subscribe to hear more about the results in a later post).

I don’t know about the rest of you, but I HATE wasting! And having to thin carrots after planting seems like a TERRIBLE waste!
On the flip side, if you do not thin them when they have been planted too close together, you end up with plenty of spindly carrots… Which is just as bad…
So the solution I came up with is to start by planting the carrots in the best spacing you can, using this homemade seed tape.
When you are sprinkling the seeds to make the tape, think of how large you would like your carrots to grow in comparison to the spacing between the seeds; it will seem like you are barely putting any seeds in the tape, but TRUST ME!

Spacing seeds for the size they will reach when fully grown is one of the most difficult garden planning aspects, in my humble opinion.
What steps did I take after making the seed tape?
I placed the homemade seed tape in my raised beds where I wanted each different variety to grow, then covered them with a thin layer of soil.
After that, I kept the soil moist (but not wet) for the next couple weeks. Certain varieties of salad mixes came up very quickly (arugula, I believe was only about a week to start popping through the soil), while others took a few more weeks.

At one point I was rather skeptical whether the seeds would be able to break through the paper barrier and make it to the surface, however as I checked the seeds (daily, might I add – it is an addiction, I know..) I watched as each different variety of carrot, romaine, iceberg, grande rapids, arugula, and kale found their way through the paper towel and soil into the warm sunlight.

I will definitely be employing this method again next year and the years to follow, given the headaches it solved for me living in a windy area!

Did you find this tutorial helpful? Leave a message below! I would love to hear from you!

Oh, and don’t forget to subscribe to find out about the organic composting results for my carrots!